Aviz favorabil pentru proiectul complexului Roata din Făget. Se extinde cu 2,6 hectare
Membrii Comisiei tehnice de urbanism din cadrul Primăriei Cluj-Napoca au avizat favorabil, în ședința de joi, 21 august, proiectul care privește extinderea complexului turistic „Roata-Făget”.


Complexul turistic Roata Făget, situat la marginea sudică a Clujului, în apropierea pădurii Sf. Ion, se pregătește de o extindere importantă. Proprietarii – familia clujeană Sipos Ildikó și Jozsef – au depus la Primăria Cluj-Napoca documentația necesară pentru elaborarea unui Plan Urbanistic Zonal (PUZ), care a fost discutat joi în Comisia de urbanism.
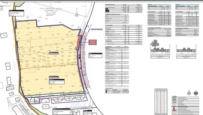
Proiectul vizează un teren de circa 26.500 mp, pe malul drept al Văii Gârbăului, încadrat în prezent în UTR AAPP – zonă de agrement pentru public și UTR Ve – zonă verde de protecție a apelor. Suprafața este liberă de construcții, iar intenția investitorului este de a dezvolta un ansamblu de agrement și ospitalitate care să completeze funcțiunile deja existente la „Roata Făget”.


Proiectul propune valorificarea unui teren neamenajat, cu o poziție favorabilă în imediata apropiere a Pădurii Făget, prin introducerea funcțiunii de agrement pentru public. Se propune dezmembrarea unei porțiuni din terenul reglementat pentru modernizarea căilor de access.
Se vor avea în vedere parcelarea și reglementarea amplasării unor construcții noi, organizarea circulațiilor pietonale și a zonelor verzi din incinta studiată.


Se dorește crearea unui complex cu elemente atât interioare cât și exterioare, care să fie atractiv pe toată perioada anului, atât pentru locuitorii orașului, cât și turiști. Întregul complex va respecta principiile unei arhitecturi sustenabile și va include o serie de elemente care să contribuie la reducerea amprentei de carbon.


Documentația propune realizarea unor construcții cu un regim de înălțime de maximum 13 metri și cu următoarele funcțiuni principale:
- hotel;
- restaurant;
- spațiu multifuncțional pentru evenimente și conferințe;
- zonă verde amenajată pentru recreere.
Acces și mobilitate
Pentru a răspunde nevoilor de accesibilitate și deservire a publicului, planul include un număr semnificativ de locuri de parcare:
- 27 de locuri în garaje, dintre care 2 pentru persoane cu dizabilități;
- 74 de locuri la sol, dintre care:
- 5 pentru persoane cu dizabilități,
- 7 pentru mașini electrice,
- 5 pentru femei însărcinate sau persoane însoțite de copii mici.
De asemenea, proiectul prevede și 28 de locuri pentru biciclete, un pas necesar pentru promovarea mobilității sustenabile.
Accesul se va face prin modernizarea străzii Drumului Sf. Ioan, care urmează să fie lărgită la un profil de 18 metri, și prin amenajarea unei stații de autobuz și a unei treceri de pietoni în proximitatea amplasamentului.
Proiectul a fost realizat de către biroul ARHI BOX, iar beneficiara investiției este societatea comercială Roata Făget s.r.l. din Cluj-Napoca.











